For more information regarding the value of a property, please contact us for a free consultation.
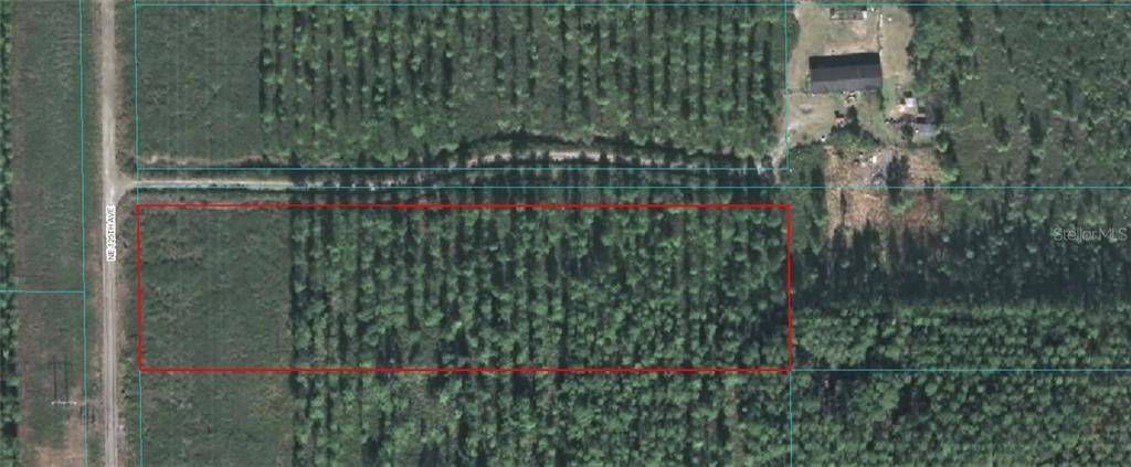
TRACT 24 NE 125 AVE Fort Mc Coy, FL 32134
Want to know what your home might be worth? Contact us for a FREE valuation!

Our team is ready to help you sell your home for the highest possible price ASAP
Key Details
Sold Price $16,000
Property Type Vacant Land
Sub Type Unimproved Land
Listing Status Sold
Purchase Type For Sale
Subdivision Payne'S Landing Ranches
MLS Listing ID OM606906
Annual Tax Amount $33
Lot Size 3.000 Acres
Property Sub-Type Unimproved Land
Property Description
DREAMING OF QUIET COUNTRY LIFE? WE HAVE THAT, 3 ACRES OF TREES WITH WILDLIFE GALORE. BUILD YOUR DREAM HOME AND SIT ON THE PORCH AND WATCH DEER, TURKEY AND BIRDS OR TAKE A SHORT DRIVE TO ALL THE OCALA NATIONAL FOREST HAS TO OFFER.PLEASE FOLLOW THESE DIRECTIONS, GOOGLE WILL NOT TAKE YOU THERE
Location
State FL
County Marion
Community Payne'S Landing Ranches
Area 32134 - Fort Mc Coy/Salt Springs
Zoning A-1
Exterior
Utilities Available Private
Building
Lot Description Buildable, In County, Unpaved, Wooded
Sewer Septic Needed
Water Well Required
Schools
Elementary Schools Fort Mccoy School (K-8)
Middle Schools Ft Mccoy Middle
High Schools North Marion High School
Others
Acceptable Financing Cash, Conventional, FHA, VA Loan
Listing Terms Cash, Conventional, FHA, VA Loan
Special Listing Condition None
Read Less

© 2025 My Florida Regional MLS DBA Stellar MLS. All Rights Reserved.
Bought with Vicki Moore REMAX/PREMIER REALTY HWY 200
GET MORE INFORMATION


